Psila de la Albizia (Psylla alhagi)

DESCRIPCIÓN:

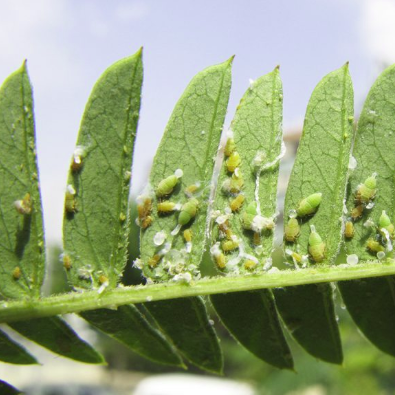
La psila es un pequeño insecto similar a un pulgón con alas. Se sitúa principalmente en el envés de las hojas, donde se alimenta de savia y deja abundante melaza que favorece la negrilla. Su ciclo se repite varias veces al año en climas cálidos.

 

ESPECIES AFECTADAS:

Albizia (Albizia julibrissin)

Específicamente esta especie; raramente se traslada a otras

 

DAÑOS Y RIESGOS:

Pérdida de hojas prematura

Afeado del ejemplar ornamental

Acumulación de melaza + negrilla

Estrés prolongado → facilita entrada de otras plagas

 

CONTROL Y PREVENCIÓN:

IControl biológico limitado

Endoterapia en primavera o principios de verano
Tratamiento Endolab: endoterapia sistémica específica
 

BENEFICIOS ENDOLAB:
Alta eficacia sin dañar la biodiversidad
Seguimiento técnico en Endolab Tracker

©Derechos de autor. Todos los derechos reservados.

Information icon

Necesitamos su consentimiento para cargar las traducciones

Utilizamos un servicio de terceros para traducir el contenido del sitio web que puede recopilar datos sobre su actividad. Por favor revise los detalles en la política de privacidad y acepte el servicio para ver las traducciones.